SIGN UP CUSTOMER LOGIN
Main Photo

1 Total Photos [Click to View All]

Main Photo
Main Photo

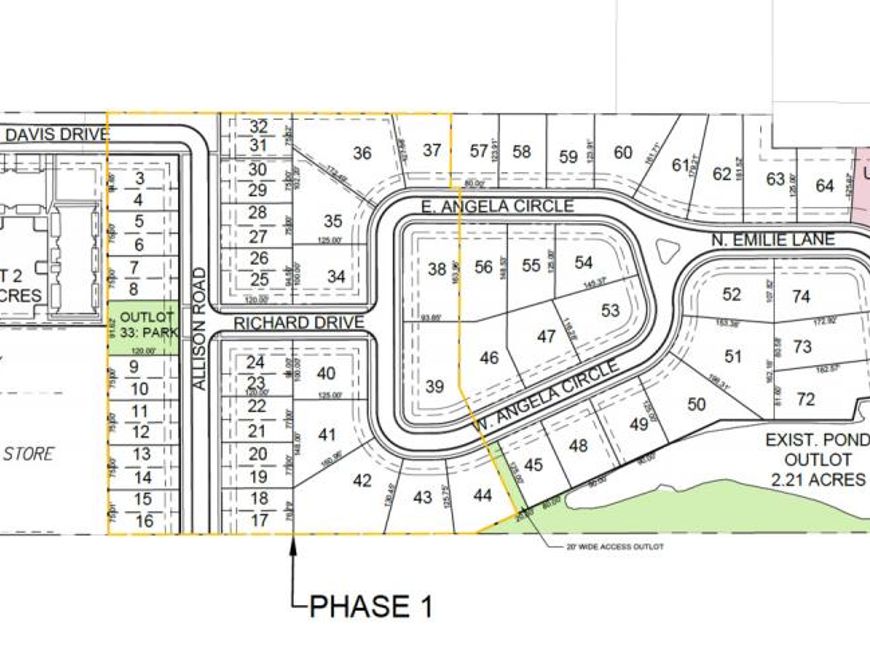
Lots 3&4 Allison Road Lexington, IL 61753

$76,000
Active / MLS# 12114052 / Land - Residential / Lexington
0 Beds

We are thrilled to announce the launch of Phase 1 at Century Oaks Subdivision, a premier residential community designed for modern living. Phase 1 offers lots for 30 duplex/zero-lot homes and 11 single-family homes, presenting a unique opportunity to invest in your future. With convenient access to Interstate 55 and all the amenities Lexington has to offer, Century Oaks provides a serene setting with over 15 acres of timber, scenic trails, and a 2-acre park complete with a fishing pond. Don't miss the chance to be part of this vibrant community. Contact us today for more information on available lots and options.

Read More » Read Less »

Baird & Warner Jeffrey Schwartz Email

Mortgage Calculator

%
years/fixed
yearly
yearly (est.)
(Payments are an estimate and may vary by lender)

Estimated Payment

$ 454.89 per month $168.89 Principal & Interest $263.83 Property Tax $22.17 Homeowner's Insurance
Get your competitive financing options.

Property Details

Property Type: Land - Residential
Lot Size: 95X120X95X120
Taxes: $3,166

Feature Descriptions

Current Use: Single Family
Frontage: 75
Frontage Type: City Street
Lot Dimensions: 95X120X95X120
Parcel#: 0907100066
Road Surface: Concrete
Township: Lexington
Utilities: Electric to Site, Natural Gas Available

Schools

High School: Lexington High School
Middle School: Lexington Jr High
Elementary School: Lexington Elementary
School District: District 7

Disclaimer: The accuracy of all information regardless of source, including but not limited to square footage and lot size, is deemed reliable but not guaranteed nor warranted and should be personally verified through personal inspection by and/or with the appropriate professionals.

Location

See details and scored characteristics about this location.

Listing Office: Keller Williams Revolution

Listing Office Phone: 309-834-3400



Listing data and photos distributed by MLSGRID
Member Participants (and their affiliated licensees, if applicable) shall indicate on their websites that IDX information is provided exclusively for consumers’ personal non-commercial use, that it may not be used for any purpose other than to identify prospective properties consumers may be interested in purchasing, that the data is deemed reliable but is not guaranteed by MLS GRID, and that the use of the MLS GRID Data may be subject to an end user license agreement prescribed by the Member Participant’s applicable MLS if any and as amended from time to time. MLS GRID may, at its discretion, require use of other disclaimers as necessary to protect Member Participant, and/or their MLS from liability.
Based on information submitted to the MLS GRID. All data is obtained from various sources and may not have been verified by broker or MLS GRID. Supplied Open House Information is subject to change without notice. All information should be independently reviewed and verified for accuracy. Properties may or may not be listed by the office/agent presenting the information.


Login to my Baird & Warner account

Pixel