SIGN UP CUSTOMER LOGIN
Main Photo

30 Total Photos [Click to View All]

Main Photo
Main Photo

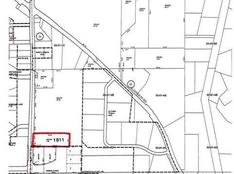
1811 Il Rte 25 (elgin) Road Barrington, IL 60010

$349,000
Active / MLS# 12071350 / Land - Residential / Barrington
0 Beds

This 6.79 acre lot is located on Illinois Route 25 also known as Elgin Rd in Barrington Hills, Illinois.Its 325 foot frontage and 910.39 foot depth give it many possibilities.Located adjacent to the north of the new Longmeadow Parkway right of way.Longmeadow Parkway when completed will have great access over the Fox River and will continue west past Randall Road saving time and traffic through the town of Algonquin.The property to the north and east of this lot is now owned by The Bridge Church of Algonquin which has had a special use granted by the Village Of Barrington Hills to build a Church on their 46 acres.To the south of this property is 5.89 acres in Barrington Hills that has a B-3 Business District zoning.Currently the properties zoning is R-1 residential.Slightly wooded in front it clears out in rear for a elevation that slopes to the north and south.Topography drawing and Survey available for review.No soils analysis or soil boring tests are available. Come see the potential

Read More » Read Less »

Baird & Warner Jeffrey Schwartz Email

Mortgage Calculator

%
years/fixed
yearly
yearly (est.)
(Payments are an estimate and may vary by lender)

Estimated Payment

$ 1,425.93 per month $775.56 Principal & Interest $548.58 Property Tax $101.79 Homeowner's Insurance
Get your competitive financing options.

Property Details

Property Type: Land - Residential
Basement: None
Lot Size: 7.08 Acres
Taxes: $6,583

Feature Descriptions

Current Use: Residential, Other
Frontage: 325
Frontage Type: State Road
Lot Dimensions: 325 X 910.39
Parcel#: 0301300025
Road Surface: Concrete
Township: Dundee
Utilities: Electricity Nearby, Natural Gas Nearby

Schools

High School: Barrington High School
Middle School: Barrington Middle School-Station
Elementary School: Countryside Elementary School
School District: District 220

Disclaimer: The accuracy of all information regardless of source, including but not limited to square footage and lot size, is deemed reliable but not guaranteed nor warranted and should be personally verified through personal inspection by and/or with the appropriate professionals.

Location

See details and scored characteristics about this location.

Listing Office: Coldwell Banker Realty

Listing Office Phone: 847-541-5000



Listing data and photos distributed by MLSGRID
Member Participants (and their affiliated licensees, if applicable) shall indicate on their websites that IDX information is provided exclusively for consumers’ personal non-commercial use, that it may not be used for any purpose other than to identify prospective properties consumers may be interested in purchasing, that the data is deemed reliable but is not guaranteed by MLS GRID, and that the use of the MLS GRID Data may be subject to an end user license agreement prescribed by the Member Participant’s applicable MLS if any and as amended from time to time. MLS GRID may, at its discretion, require use of other disclaimers as necessary to protect Member Participant, and/or their MLS from liability.
Based on information submitted to the MLS GRID. All data is obtained from various sources and may not have been verified by broker or MLS GRID. Supplied Open House Information is subject to change without notice. All information should be independently reviewed and verified for accuracy. Properties may or may not be listed by the office/agent presenting the information.


Login to my Baird & Warner account

Pixel