SIGN UP CUSTOMER LOGIN
Main Photo

6 Total Photos [Click to View All]

Main Photo
Main Photo

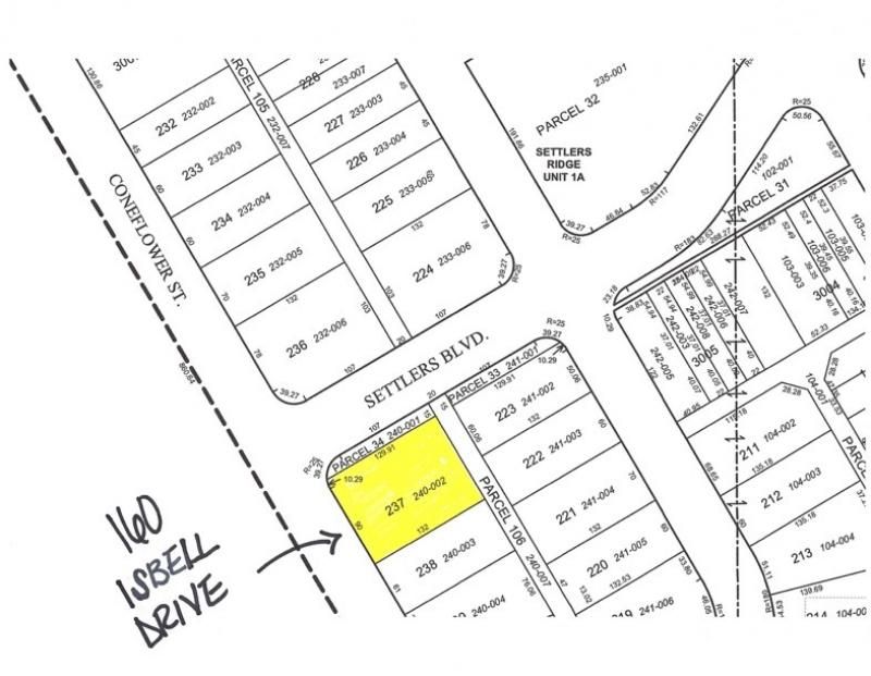
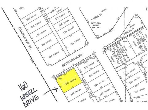
160 Isbell Drive Sugar Grove, IL 60554

$39,000
Active / MLS# 11885958 / Land - Residential / Sugar Grove
0 Beds

Exciting price in a thriving community! Lot 237 (160 Isbell Drive) is a whopping 1/3 acre of sheer potential! New construction is always a hit....and this lot is a grand slam. Quick walk to community trails and park, sunset views, urban plan with rear-facing garage, and a stellar location just moments from I-88 AND a quick Starbucks fix. A swing and a hit! Principal of seller is a licensed Broker.

Read More » Read Less »

Baird & Warner Jeffrey Schwartz Email

Mortgage Calculator

%
years/fixed
yearly
yearly (est.)
(Payments are an estimate and may vary by lender)

Estimated Payment

$ 110.88 per month $86.67 Principal & Interest $12.83 Property Tax $11.38 Homeowner's Insurance
Get your competitive financing options.

Property Details

Property Type: Land - Residential
Lot Size: 0.30 Acres
Taxes: $154

Feature Descriptions

Frontage: 100
Frontage Type: City Street, Alley Access
Lot Dimensions: 100X130X100X132
Parcel#: 1422240002
Possible Use: Single Family
Road Surface: Asphalt
Township: Sugar Grove
Utilities: Electric to Site, Natural Gas Available, Water Available

Schools

School District: District 302

Disclaimer: The accuracy of all information regardless of source, including but not limited to square footage and lot size, is deemed reliable but not guaranteed nor warranted and should be personally verified through personal inspection by and/or with the appropriate professionals.

Location

See details and scored characteristics about this location.

Listing Office: Southwestern Real Estate, Inc.

Listing Office Phone: 630-202-3531



Listing data and photos distributed by MLSGRID
Member Participants (and their affiliated licensees, if applicable) shall indicate on their websites that IDX information is provided exclusively for consumers’ personal non-commercial use, that it may not be used for any purpose other than to identify prospective properties consumers may be interested in purchasing, that the data is deemed reliable but is not guaranteed by MLS GRID, and that the use of the MLS GRID Data may be subject to an end user license agreement prescribed by the Member Participant’s applicable MLS if any and as amended from time to time. MLS GRID may, at its discretion, require use of other disclaimers as necessary to protect Member Participant, and/or their MLS from liability.
Based on information submitted to the MLS GRID. All data is obtained from various sources and may not have been verified by broker or MLS GRID. Supplied Open House Information is subject to change without notice. All information should be independently reviewed and verified for accuracy. Properties may or may not be listed by the office/agent presenting the information.


Login to my Baird & Warner account

Pixel