SIGN UP CUSTOMER LOGIN
Main Photo

2 Total Photos [Click to View All]

Main Photo
Main Photo

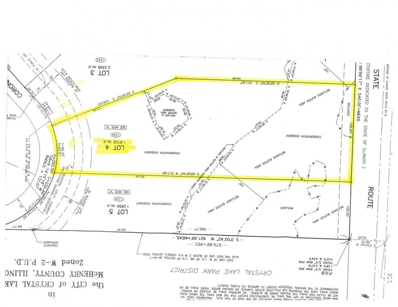
1334 Coronado Vista Street Crystal Lake, IL 60014

$52,900
Active / MLS# 12162985 / Land - Residential / Crystal Lake
0 Beds

Beautiful wooded 1+ acre lot, Lot #4 of 5 lots to pick from build your dream home, annexed into the City of Crystal Lake. Adjacent to Crystal Lake Park District & Lippold Park. Entrance to property on Coronado Vista. Electric/Gas available. Septic & Well permitted by city of Crystal Lake, build your own.

Read More » Read Less »

Baird & Warner Jeffrey Schwartz Email

Mortgage Calculator

%
years/fixed
yearly
yearly (est.)
(Payments are an estimate and may vary by lender)

Estimated Payment

$ 228.40 per month $117.56 Principal & Interest $95.42 Property Tax $15.43 Homeowner's Insurance
Get your competitive financing options.

Property Details

Property Type: Land - Residential
Basement: None
Lot Size: 1.81 Acres
Taxes: $1,145

Feature Descriptions

Current Use: Single Family
Frontage: 100
Frontage Type: City Street
Lot Dimensions: 83 X 267 X 170 X 366
Parcel#: 1336301020
Possible Use: Single Family
Road Surface: Asphalt
Township: Dorr
Utilities: Electricity Nearby, Natural Gas Nearby, Sewer Connected, Water Nearby

Schools

High School: Crystal Lake Central High School
Middle School: Richard F Bernotas Middle School
Elementary School: West Elementary School
School District: District 155

Disclaimer: The accuracy of all information regardless of source, including but not limited to square footage and lot size, is deemed reliable but not guaranteed nor warranted and should be personally verified through personal inspection by and/or with the appropriate professionals.

Location

See details and scored characteristics about this location.

Listing Office: Berkshire Hathaway HomeServices Starck Real Estate

Listing Office Phone: 815-459-5900



Listing data and photos distributed by MLSGRID
Member Participants (and their affiliated licensees, if applicable) shall indicate on their websites that IDX information is provided exclusively for consumers’ personal non-commercial use, that it may not be used for any purpose other than to identify prospective properties consumers may be interested in purchasing, that the data is deemed reliable but is not guaranteed by MLS GRID, and that the use of the MLS GRID Data may be subject to an end user license agreement prescribed by the Member Participant’s applicable MLS if any and as amended from time to time. MLS GRID may, at its discretion, require use of other disclaimers as necessary to protect Member Participant, and/or their MLS from liability.
Based on information submitted to the MLS GRID. All data is obtained from various sources and may not have been verified by broker or MLS GRID. Supplied Open House Information is subject to change without notice. All information should be independently reviewed and verified for accuracy. Properties may or may not be listed by the office/agent presenting the information.


Login to my Baird & Warner account

Pixel