SIGN UP CUSTOMER LOGIN
Main Photo

4 Total Photos [Click to View All]

Main Photo
Main Photo

0 Millennium Drive Crystal Lake, IL 60012

$659,000
Active / MLS# 12428586 / Land - Farm / Crystal Lake
0 Beds

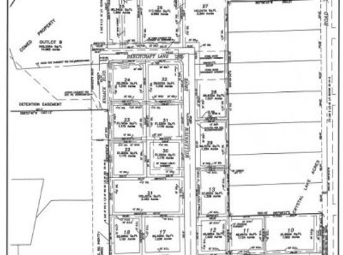
VACANT LIGHT INDUSTRIAL LAND 7.17 ACRES 7.17 acres of vacant land zoned light industrial and office. An architectural drawing features a site plan for 5 industrial flex buildings with a total of 54 units. The units are a mixture of 1,200 SF, 1,500 SF, and 1,800 SF. Site plan was recently presented for a concept review to the Crystal Lake Planning and Zoning Comm. and although no official vote was taken, the site plan received a unanimous positive reaction.

Read More » Read Less »

Baird & Warner Jeffrey Schwartz Email

Mortgage Calculator

%
years/fixed
yearly
yearly (est.)
(Payments are an estimate and may vary by lender)

Estimated Payment

$ 1,908.32 per month $1,464.44 Principal & Interest $251.67 Property Tax $192.21 Homeowner's Insurance
Get your competitive financing options.

Property Details

Property Type: Land - Farm
Lot Size: 7.17 Acres
Taxes: $3,020

Feature Descriptions

Current Use: Agricultural
Frontage: 500
Frontage Type: City Street
Lot Dimensions: 312325
Parcel#: 1433226016
Possible Use: Industrial
Road Surface: Asphalt
Township: Nunda
Utilities: Electricity Nearby, Natural Gas Nearby

Schools

School District: District 155

Disclaimer: The accuracy of all information regardless of source, including but not limited to square footage and lot size, is deemed reliable but not guaranteed nor warranted and should be personally verified through personal inspection by and/or with the appropriate professionals.

Location

See details and scored characteristics about this location.

Listing Office: Premier Commercial Realty

Listing Office Phone: 847-854-2300



Listing data and photos distributed by MLSGRID
Member Participants (and their affiliated licensees, if applicable) shall indicate on their websites that IDX information is provided exclusively for consumers’ personal non-commercial use, that it may not be used for any purpose other than to identify prospective properties consumers may be interested in purchasing, that the data is deemed reliable but is not guaranteed by MLS GRID, and that the use of the MLS GRID Data may be subject to an end user license agreement prescribed by the Member Participant’s applicable MLS if any and as amended from time to time. MLS GRID may, at its discretion, require use of other disclaimers as necessary to protect Member Participant, and/or their MLS from liability.
Based on information submitted to the MLS GRID. All data is obtained from various sources and may not have been verified by broker or MLS GRID. Supplied Open House Information is subject to change without notice. All information should be independently reviewed and verified for accuracy. Properties may or may not be listed by the office/agent presenting the information.


Login to my Baird & Warner account

Pixel